PUBLIC REAL ESTATE AUCTION EVENT
By Order of The Special Commissioner to Settle an Estate: 7 wooded estate lots will be offered individually and in any combination. Excellent opportunity for individual home owners, builders or investors!!
Auction Conducted OFF SITE @ 1708 Main St.. Victoria, VA 23974
Live Auction w/Live Real-Time Online Simulcast Bidding for Your Convenience!!
Please preview the property at your leisure, and contact Sid Smyth for more information (434-955-0708).
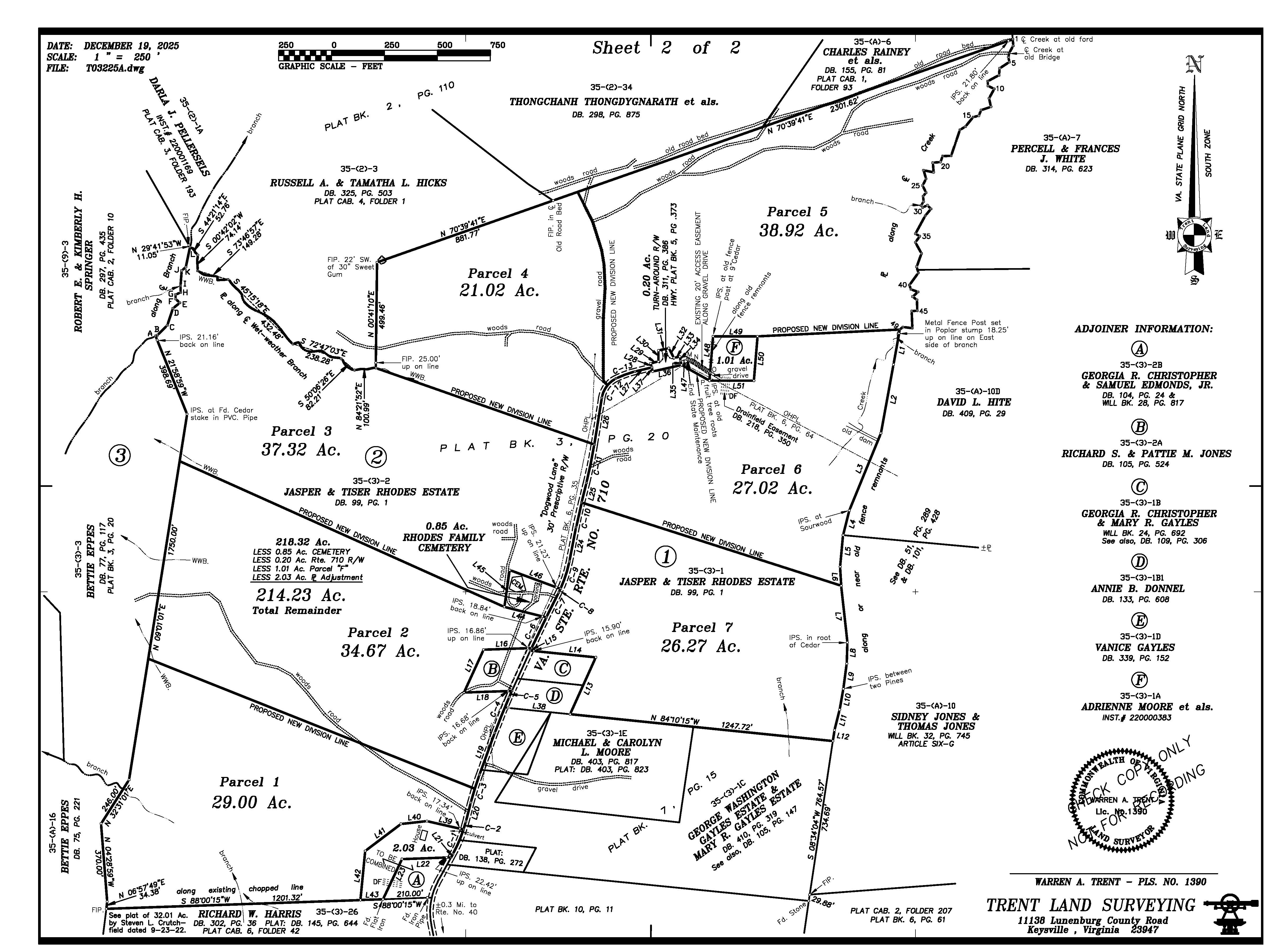
- 7 wooded Lunenburg County estate lots: Lot 1--29 +/- acres; Lot 2--34.67 +/- acres; Lot 3--37.32 +/- acres; Lot 4--21.02 +/- acres; Lot 5--38.92 +/- acres; Lot 6--27.02 +/- acres; Lot 7--26.27 +/- acres
- Soil work has been completed for perk sites
- VDOT has given their approval for entrance construction for each lot
- Sale subject to court approval
- Located only 2.5 miles from downtown Kenbridge, 5 miles from Victoria, 13 miles from Blackstone, 20 miles from I-85 & 22 miles from South Hill, VA!! Large employers/industry within driving distance!!
- Tax Map: 035-03-0-1; Deed Book: 216/12; Zoned: R1; $10,000 deposit PER LOT ($70,000 if purchased as a whole) (certified check ONLY) is due immediately after bidding concludes, must be shown at registration and the balance due at closing within 30 days after court approval; WE GUARANTEE A FREE & CLEAR DEED
- Only $25,000 Starting Bid Per Lot!!
FOR REALTORS: If you are currently working with a Realtor and want them to represent you, please have them CLICK HERE and complete their broker participation form. In order for the Realtor to be compensated, broker forms must be completed and submitted no later than 6 am on the day of the auction (1/28/26), and all terms adhered to.
TERMS: $10,000 deposit per lot is due immediately at the conclusion of the auction, must be presented at registration before the auction begins, and the balance due at closing within 30 days after court approval or as soon thereafter as seller's closing documents are available (unless prior written arrangements have been made by contacting Sid Smyth @ 434-955-0708). There is a possibility of a lesser deposit if proof of pre approved financing is presented prior to auction. Deposits must be in the form of a cashier's check or certified check (from a US bank) made payable to yourself. The deposit is non-refundable. A 10% auction premium will be added to the final bid, and will become a part of the purchase price (10% Auction Premium Example: Bid Price: $100,000 Plus 10% Auction Premium: $10,000 Total Contract Price: $110,000). The auction premium is non-negotiable. Property sold in as-is condition, and is not contingent upon buyer's financing, condition of property, appraisal, inspection, etc. Pre-approved (no later than 6 am on 1/28/26) broker participation is compensated (NO EXCEPTIONS). Auctioneer's Note: All information and dimensions were derived from sources believed to be correct, but are not guaranteed. Buyers shall rely on their own information, judgment, and inspection of the property. All auction day announcements take precedence over any previously printed material or any other oral statements made. Please note that the following statements are simply the highlights of the terms & conditions. Please refer to the "Property Information Packet" for complete and detailed terms & conditions that will govern the auction event.
We are happy to offer online/simulcast bidding for bidders who cannot physically attend the live auction event. Please understand and agree that online bidding will only be allowed if the buyer is physically NOT on site at the live auction. Online bidding will NOT be allowed if you are physically in attendance at the live auction event.
ADDITIONAL TERMS for THOSE PLANNING TO BID LIVE ONLINE
In addition to the above terms and conditions, Please read below if you are participating and registered for LIVE ONLINE SIMULCAST BIDDNG- Contact the auction coordinator (his or her name and contact number is on the NichollsAuction.com site under the auction you are bidding on) immediately if you need additional information.
- Bidder Verification: The identity of all bidders will be and must be verified (via phone, email or text). Bidding rights are provisional, and if complete verification is not possible, Nicholls Auction Marketing Group, Inc. will reject the registration, and bidding activity will be terminated.
- At the close of the auction, and seller confirmation, the successful bidder will be emailed or given the contract package to execute and return to Nicholls Auction Marketing Group, Inc. Upon being declared the high and successful buyer, the credit card that you registered with will be charged $500 toward your deposit. The successful bidder’s remaining earnest money deposit ($9,500) must be in the form of cashier’s or certified check (United States Bank) or wire transfer to Nicholls Auction Marketing Group, Inc. and is due immediately. The entirety of the remaining balance is due at closing. Purchaser shall be responsible for all wire transfer fees.
- Contract Packages will be sent by e-mail or hand delivered to the high bidder, who must execute and hand deliver, email, fax or overnight mail back to Nicholls Auction Marketing Group, Inc., within 24 hours of receipt. If the successful bidder does not execute and return their contract with earnest money deposit within 24 hours of receipt they will be considered in default and subject to legal action. This is a legal binding contract.
- In the event a winning bidder fails to submit the signed ’Contract for Sale of Real Property’ and deposit earnest money as provided in the pre-stipulated Auction Terms, the winning bidder will be charged an administrative fee of $10,000 on the credit card provided at auction registration. Additional default remedies are reserved by Nicholls Auction Marketing Group, Inc., and the Seller as provided in the Auction Terms & Conditions and the ‘Contract of Purchase’. All administrative fees are non refundable.
- Any reliance on the contents shall be solely at the recipient’s risk. Bidders must conduct and rely solely upon their own investigations and inspections. The property is being sold ’AS IS’ with any and all faults. Please review all information supplied, and seek appropriate assistance prior to bidding.
- Technical Issues: Neither the company providing the software nor the auction company shall be held responsible for a missed bid or the failure of the software to function properly for any reason. In the unfortunate event of a DDOS attack or server attack/shut down, the auction company reserves the right, but is not required, to extend bidding time. To minimize the chance of being affected by internet or software issues, please use the “Max Bid” feature.

